Sporvekslers geometri
Publisert: 3. mars 2014
Oppdatert: 4. februar 2025
1 Noen definisjoner
En sporveksel er en skinnedel med bevegelige deler for å kunne foreta skifte av spor. Et sporkryss er isolert sett en fast konstruksjon for å krysse to spor.
Videre kan vi sondere mellom tre konstruksjoner der sporveksler inngår: sporsløyfer – forbindelser mellom flere spor, innfart til parallelle møtespor og linjeskillende veksler. Blant førstnevnte inngår også ofte sporkryss.
Sporavstanden, målt som den vinkelrette avstanden mellom senterlinjen til to nabospor, har en minsteverdi på 4,40 m for nye baner og 4,25 m for eksisterende baner. Men sporavstanden økes i kurver pga. ekstra plassbehov, helt opp til 4,70 m.
Figur 17 viser den enkleste formen for sporveksel, der det såkalte avvikesporet er kurvet og avviker fra et rettlinjet spor. Tangenten til hovedsporet før vekselens begynnelse og tangenten til avvikesporets bueende, begge senterlinjer, danner et krysningspunkt og en vinkel mellom seg. Disse benevnes henholdsvis det teoretiske krysningspunkt og stigningen eller stigningsvinkelen (α). Stigningen angis gjerne som en brøk 1 : n, det vil si tangens til kryssingsvinkelen.

Figur 17 viser det geometriske bildet av en enkel sporveksel i horisontalplanet, som en plantegning. Men for best mulig å angi geometrien, benyttes som regel en mer teoretisk tegning som figur 18 med såkalte hovedmål påført.

Tegnforklaring:
SS: stokkskinneskjøt
TK: teoretisk kryss
R2: sirkelkurvens endepunkt i avvik
BK: bakkant sporveksel
A: tangentlengde/lengde i X-retning før TK
C: tangentlengde til sirkelkurven etter TK
D: rettlinjet parti i avvik
B: lengde i X-retning av C + D
L: byggelengde; A + B
E: lengde av parti med langsviller utenfor BK
2 Enkle sporveksler
En enkel sporveksel har kun ett avvik – enten til høyre eller venstre. Kurvaturen i avvikesporet er avhengig av stigningen til vekselen, men det er også en sammenheng mellom radien og lengden av kurven i avvikesporet.
Vi kan skille mellom to hovedtyper av enkle sporveksler. Den første kalles for sporveksel med kort kurve og er gjerne blant de eldre sporvekslene som finnes. Fig. 19 illustrerer hva som menes med kort kurve. Den krumme delen av avvikesporet er ikke lenger enn at den ender før avvikesporet krysser hovedsporet. Dermed er skinnekrysset rettlinjet i begge spor, og krysspissen har samme stigning som sporvekselen. Følgelig er radien i avvikesporet relativt liten.

For noen eldre veksler med kort kurve består også avvikesporet av to etterfølgende sirkelkurver, avhengig av hvilket element i vekselen det er snakk om. Men en langt mer ustabil geometri har vi for såkalt «overskjærende» kurve. Det vil si at avvikesporet ikke tangerer rettlinjen, men skjærer over dette, jf. figur 20.

Har vi to overskjærende, motsatt rettede sporveksler på rad, og skal kjøre gjennom begge avvikekurver, er geometrien udefinert. I denne situasjonen er det fare for at buffere vil gå om hverandre.

Den andre typen av enkle sporveksler er som regel av nyere dato og har såkalt lang kurve. Det vil si den motsatte situasjonen av den over: Avvikekurven er så lang at den ender etter at den har krysset rettlinjen, som vist på figur 22. Her er skinnekrysset krummet, og krysspissen har en noe lavere stigning enn sporvekselen.

Sammenlikner en eksisterende sporveksler i rett spor med henholdsvis kort og lang kurve, vil en oppdage at de med lang kurve har en mye slakere kurvatur. Disse er derfor langt mer gunstige når gode kjøreforhold er ønskelig. Tabellene 8 og 9 viser eksisterende, enkle sporveksler med kort og lang kurve. Verdt å merke seg er at der hovedmålene B og C er like store, slik som for de fleste sporveksler med lang kurve, betyr det at sirkelkurven er strukket helt ut til vekselens bakkant (BK).
Tabell 8: Hovedmål for enkel veksel med kort kurve
Alle mål er i mm.
| Profil | Stigning/radius | A | B | C | D | L | E |
|---|---|---|---|---|---|---|---|
| S49 | 1:7 R140 | 9949 | 13224 | 13224 | 3275 | 23174 | 2400 |
| 1:9 R190 | 10519 | 16611 | 10519 | 6092 | 27130 | 3900 | |
| S54 | 1:9 R190 | 10523 | 16616 | 10523 | 6093 | 27139 | 3000 |
Tabell 9: Hovedmål for enkel veksel med lang kurve
Alle mål er i mm.
| Profil | Stigning/radius | A | B | C | D | L | E |
|---|---|---|---|---|---|---|---|
| S49 | 1:7,5 R190 | 12607 | 17428 | 12607 | 482 | 30035 | 0 |
| 1:7 R190 | 13502 | 13502 | 13502 | – | 27002 | 3000 | |
| 1:6,6 R190 | 14310 | 17425 | 17284 | 141 | 30035 | 0 | |
| 1:6,28 R190 | 15018 | 15018 | 15018 | – | 30035 | 0 | |
| 1:9 R300 | 16616 | 16616 | 16616 | – | 33232 | 4447 | |
| 1:12 R500 | 20797 | 20797 | 20797 | – | 41587 | 6500 | |
| S54 | 1:9 R300 | 16616 | 16616 | 16616 | – | 33231 | 3000 |
| 1:12 R500 | 20797 | 20797 | 20797 | – | 41594 | 5835 | |
| 1:14 R760 | 27108 | 27108 | 27108 | – | 54216 | 3900 | |
| UIC60 | 1:9 R300 | 16615 | 16615 | 16615 | – | 33230 | 5400 |
| 1:12 R500 | 20797 | 21985 | 20797 | 1188 | 42783 | 7200 | |
| 1:14 R760 | 27108 | 27108 | 27108 | – | 54216 | 7200 | |
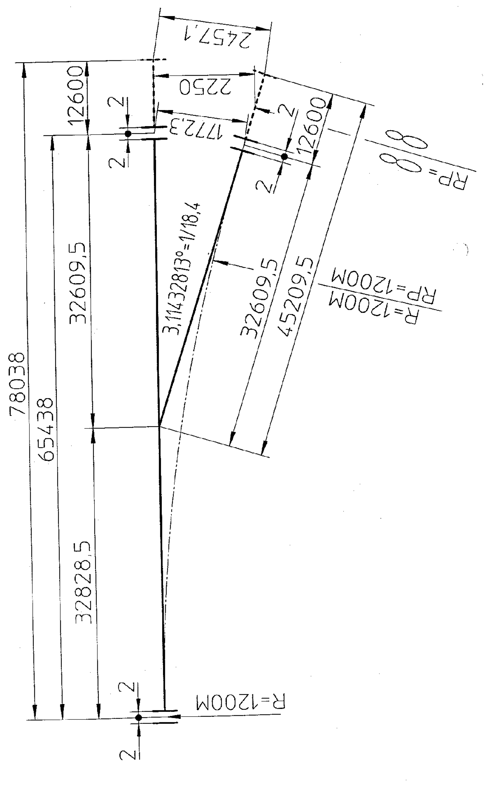
| 1:18,4 R12001 | 32829 | 32610 | 32610 | – | 65438 | 12600 | |
| 1:26,1 R25001 | 48109 | 46491 | 46491 | – | 94600 | 17400 |
1Klotoideveksel
3 Kurveveksler
Geometrisk sett er en kurveveksel en bøyd enkel veksel med lang kurve. Det opprinnelige rettsporet blir krummet, slik at vekselens hovedspor har lik krumning med sporet der den skal legges inn.
Kurveveksler benevnes ettersom hvilken vei hovedsporet og deretter avvikesporet krummer. Figur 23 viser de fire ulike kombinasjonene av høyre- og venstrekrumning som kan forekomme.

Figur 23: Benevnelser av kurveveksler.
3.1 Beregningsgrunnlag og utgangsmål
Figur 24 gir grunnlaget for en metode å beregne radius og skinnekryssets beliggenhet på. Vi har følgende utgangsmål:
r0: radius til kurvevekselen før bøying (enkel veksel med lang kurve)
t: tangentlenden
s: sporvidden = 1435 mm
α: stigningsvinkelen
φ: spissvinkelen til skinnekrysset K
β, ε: hjelperetninger til skinnekryss og vekselbakkant fra de ulike sirkelsentra
Tangentlengdene og spissvinkelen til skinnekrysset er gitt ved:
(54)
Formlene 54 gjelder for både innover- og utoverbøyde kurveveksler. På tilsvarende måte som i figur 24, kan situasjonen illustreres for den utoverbøyde vekselen. Formlene i det følgende vil kun variere med hensyn på fortegn utfra hvilken vei vekselen bøyes. Den utoverbøyde kurvevekselen er imidlertid langt mindre vanlig enn den innoverbøyde, og den forekommer ikke på hovedspor. Dette følger naturlig av at eventuell overhøyde i kurven vil opptre som falsk overhøyde i avvikesporet og dermed begrenser hastigheten gjennom vekselen drastisk.

3.2 Overhøyde i kurveveksler
Dersom en kurve har overhøyde og det skal anlegges veksel i sporet, må vekselen legges inn i eksisterende sporplan. Dette innebærer at overhøydeforholdet mellom skinnene i avvikesporet blir som for hovedsporet, mens det i tillegg finnes en langt større høydeforskjell mellom de to sporene. Denne situasjonen setter også krav til avvikesporets utvikling etter sporvekselen, som blir nærmere utdypet i avsnitt 4.8 om profilberegninger.
3.3 Beregning av kurveradius
Både hoved- og avvikespor består av en gjennomgående sirkelkurve. Kurveradiene er utformet i et slikt forhold til hverandre at stigningen er uforandret i forhold til grunnformen. Mens vanlige, rette veksler som regel velges utfra ønsket hastighet gjennom vekselen, er radien den dimensjonerende størrelsen ved kurveveksler, og da særlig for innoverbøyde veksler hvor det allerede krumme avvikesporet skal krummes ytterligere.
Forholdene mellom kurveradiene er gitt ved:
Innoverbøyd kurveveksel
(55)
der t er tangentlengden til halve vekselen, r0 er radius for den ikke bøyde sporveksel, og R og r er radier for henholdsvis hovedkurven og avvikekurven i den bøyde sporvekselen.
På samme måte får vi:
Utoverbøyd kurveveksel
(56)
Siden formlene 55 og 56 er tilnærmingsformler, utelates ofte også tangentlengden t, som alltid er langt mindre enn de ulike radiene. Formlene benyttes når en av radiene R og r er kjent.
Veksler generelt er søkt lagt til rette spor, men dersom dette ikke er mulig, skal kurveveksler utformes etter følgende grenseverdier for manglende overhøyde i kurven:
Imaks = 100 mm
Imaks = 80 mm ved håndbetjent sporveksel til sidespor
På grunnlag av kravene til manglende overhøyde må vi derfor i første omgang kjenne avvikesporets radius som om vekselen ikke var krummet i hovedsporet, r0. For den manglende overhøyden har vi dermed at:
(57)
Normalt ved prosjektering av kurveveksler kjenner vi forholdene i kurven der vekselen skal legges inn, ved R, h og v. Av formlene 55–57 får vi dermed et uttrykk for minste tillatte utgangsradius r0, det vil si hvilken enkel sporveksel som skal benyttes og så bøyes for å passe inn i det krumme hovedsporet:
(58)
for henholdsvis innover- og utoverbøyde kurveveksler.
Radius r i avvikesporet kan også beregnes eksakt ved:
(59)
3.4 Beregning av lokale koordinater
Vekselprosjektering er koordinatbasert, det vil si at spor og veksler, samt ulike hindringer, skal være målt inn geodetisk. Men den totale prosjekteringen er en integrert prosess: Innmålte punkt i eksisterende hovedspor ligger til grunn for prosjekteringen av hovedsporet gjennom vekselen. Deretter plasseres vekselen med tilhørende avvikespor relativt hovedsporet.
En veksels positive X-akse utgjøres av tangenten til hovedsporets høyre skinne ved stokkskinneskjøten, hvor origo også befinner seg, jf. figur .24. Skinnekrysset Ks X-koordinat er tegnet inn som XN. Den rettvinklede Y-koordinaten i formel 62 uttrykker dermed beliggenheten til skinnekrysset K i forhold til stokkskinneskjøten (origo):
(60)
(61)
(62)
For alle ovenstående formler med varierende fortegn gjelder at øverste fortegn skal benyttes for innoverbøyde kurveveksler.
4 Vekselsammensetninger
Konstruksjonene i dette avsnittet eksisterer i relativt stor utstrekning på banenettet i dag, men er ikke lenger regnet blant de gunstigste løsningene for sporskifte og sporforgreining. Vekselsammensetningene i de etterfølgende to avsnittene har en svært komplisert konstruksjon og representerer derfor som regel høye vedlikeholdskostnader.
4.1 Enkle og doble kryssveksler
En kryssveksel er en sammensatt sporveksel som kan legges inn der to spor krysser hverandre. En enkel kryssveksel har mulighet for avvik til en side mens en dobbel kryssveksel har mulighet for avvik til begge sider, som vist på figur 25. Kryssveksler har to endekryss og to sidekryss. Tungepartiene ligger vanligvis innenfor endekryssene, det vil si at kryssveksler bare finnes med kort kurve. Innlemming av lange kurver blir straks langt mer komplisert.

Konstruksjonen benyttes fortsatt, men der andre løsninger kan tillempes, benyttes disse.
4.2 Usymmetrisk dobbeltveksel
Skal to spor avvike til hver sin side av hovedsporet kreves normalt to enkle sporveksler etter hverandre. For å spare plass har en ofte benyttet en usymmetrisk dobbeltveksel som består av to enkle sporveksler hvor tungepartiene til de to vekslene er plassert rett etter hverandre. En usymmetrisk dobbeltveksel har tre skinnekryss og har samme radius i begge avvik.

Konstruksjonen tas ikke lenger inn ved prosjektering/bygging.
5 Hastighet i sporveksler – veksler for høye hastigheter
5.1 Alminnelig hastighetsbetraktning
Normalt har vi ikke overhøyde i sporveksler, og den maksimale hastigheten som kan holdes i vekselen er da gitt som for en sirkelkurve uten overhøyde:
(63)
Det må dog tilføyes at ju,maks som regel settes lavere enn vanlig siden det mangler overgangskurve og på grunn av ekstra støt ved kjøring gjennom vekselen.
I tilfellet der vi har overhøyde i sporvekselen, regnes tillatt hastighet på vanlig måte som for sirkelkurver med overhøyde. Men også her tillates normalt bare en lavere ju,maks.
Av og til forekommer falsk overhøyde i sporvekselen, overhøyden har negativ verdi. Da benyttes samme formler som for vmaks ellers, men overhøyden må inngå med riktig fortegn.
Se for øvrig L531 Kap. 3 – Hastighetsberegninger.
5.2 Overgangskurveveksler/klotoideveksler
Utover de til nå nevnte vekseltyper, er det utviklet en del nyere sporveksler for bruk på strekninger beregnet på høy hastigheter. Målet med disse er å kunne holde høye hastigheter gjennom avvikesporet.
Pr. definisjon er en overgangskurveveksel en enkel sporveksel der avvikesporet ligger helt eller delvis i en overgangskurve. I noen tilfeller varer overgangskurven også lenger enn selve vekselen, slik at OB (R=) kommer etter vekselens bakkant.
Omfanget til klotoidevekslene er langt mindre enn for vanlige veksler, i den betydning at de er ment for hovedspor og ikke finnes i et utall veksel-sammensetninger. Klotoideveksler bøyes heller ikke, så beregningene fra avsnitt 4.3 gjelder ikke her. Vekslene leveres derimot ferdig utformet for montering, ettersom hvilken type som er egnet for den aktuelle strekningen.
Som det fremgår av tabell 9, benyttes to typer klotoideveksler i Norge. Disse er begge av en type der avvikesporet først antar en sirkelkurve med veldig slak krumning for så å etterfølges av en overgangskurve, jf. figur 27:

Klotoidevekslene vil etterhvert benyttes på hele banenettet, men i første omgang er de to benyttet i alle sporsløyfer på Gardermobanen. Vekslene har imidlertid den forutsetning at sporavstanden er 4.7 m og ikke 4.5 m som normalt på parallelle hovedspor. Innlegging av disse vekslene i sløyfer mellom eksisterende hovedspor forutsetter dermed en utvidelse på 0.2 m av sporavstanden for det aktuelle sporstrekket.
Figurene 28 og 29 på de neste sidene viser hovedmålene for de to klotoidevekslene vi benytter i Norge. Noe som er spesielt for klotoidevekslene, er at klotoiden/overgangskurven ender først etter vekselens bakkant. Først dersom vekslene hadde blitt utviklet som veksler med kort kurve, det vil si rett skinnekryss, hadde disse punktene sammenfalt.


Tabell 10 viser noen praktiske eksempler fra ulike eksisterende høyhastighetsbaner i Europa med tillatt hastighet i avvikesporet:
Tabell 10: Hastighet i sporveksler ved SCNF (TGV-Frankrike), DB (Danmark) og SBB (Sveits)
| Forvaltning | Begynnelsesradius | Stigning | Byggelengde | Tillatt hastighet |
|---|---|---|---|---|
| SNCF | 3000 m | 1:46 | 137 m | 160 km/h |
| SNCF | 6700 m | 1:65 | 193 m | 220 km/h |
| DB1 | 6000/7000 m | 1:42 | 154 m | 200 km/h |
| SBB2 | 2200/3800 m | 1:28 | 140 km/h |
1For komfortabel linjeavgreining består vekselen av to etterfølgende kurveradier på henholdsvis 7000 og 6000 m. Radien på 6000 setter hastighetsbegrensningen i vekselen, og utjevningen til 7000 m er ment å lempe på rykket.
2Utformet som klotoideveksel, det vil si to tilstøtende klotoider, slik at start- og sluttradius er stor (3800 m) og punktet midt på avvikesporet har en mindre radius (2200 m).
1,2Den største radien kunne vært benyttet gjennom hele vekselen, men dette ville medført større byggelengde.
6 Sporkryss
Som oftest forekommer sporkryss som en del av en større konstruksjon der også sporveksler inngår, som neste avsnitt går nærmere inn på.
Et sporkryss har i alminnelighet to hovedmål: Stigning og lengde. Det enkleste sporkryss finnes som den faste konstruksjonen som tillater to rette spor å krysse hverandre.
Men sporkryss opptrer også når sirkelkurver krysser hverandre. Da oppstår en situasjon helt analog med den for enkle veksler og kurveveksler: Sporkrysset bøyes, mens stigningen (mellom kurvenes tangenter i krysningspunktet), lengden til hvert enkelt vinkelben, samt byggelengden forblir uendrede størrelser.
7 Sporsløyfer og -forgreninger
Sporsløyfer, eller sporforbindelser, kan forekomme i en rekke ulike former, og figur 30 viser en skjematisk inndeling av alle grunntypene. (Figuren viser en oversikt over typer av sporsløyfer som har vært bygget. Alle typer behøver ikke nødvendigvis å finnes på det norske jernbanenettet):

Figur 30: Skjematisk oversikt over typer av sporsløyfer.
7.1 Rette sporsløyfer
De enkleste sporsløyfene får vi når vi skal skifte fra et rettspor til et annet. Er sporene i tillegg parallelle, vil det være naturlig å legge inn to motstående, enkle veksler, med eller uten et rettstykke imellom, avhengig av hastigheten i avvikesporet og krav til byggelengde.
Tegnforklaring
ls: sporsløyfens totale byggelengde
m: mellomliggende rettlinje
s, b: andre hovedmål
SP: sporavstand
Resterende symboler angår vekslene jf. figur 31.

De ulike hovedmålene finnes som:
(64)
(65)
(66)
(67)
I de fleste tilfeller benyttes i dag enkle veksler med lang kurve, slik at vekselen ender med et krumt avvikespor. Som regel er det da i tillegg et visst rom for å forlenge buen i avvikesporet også i området med langsviller bak vekselens bakkant (BK). Dette medfører at forbindelsessporets største skjæringsvinkel med rettsporene blir større enn stigningsvinkelen til selve vekslene. Følgelig forskyves de teoretiske krysningspunktene (TK) til vekslene nærmere hverandre og sporsløyfens totale byggelengde kan gjøres mindre. Hvis vi kaller den økte skjæringsvinkelen for φ, slik at φ > α, og innfører forlenget kurve for avvikesporet i begge veksler, får vi følgende hovedmål:
(68)
(69)
(70)
(71)

Tangentlengden t1 er forlengelsen av de opprinnelige tangentlengdene i sporvekslene benevnt A og C (som oftest like lange), slik at tangentene går utfra TK til henholdvis vekselens begynnelse (SS) og enden av den forlengede avvikekurven.
Men rette sporsløyfer forekommer også mellom ikke-parallelle spor. Da er det naturlig å tilpasse vekslene slik at kun én av dem har forlenget bue i avvikesporet. Mer eksakt forlenges det ene avvikesporet slik at stigningsforskjellen blir lik vinkelen δ mellom hovedsporene: φ = α + δ. Det geometriske bildet blir en kombinasjon av det i figurene 31 og 32, med disse hovedmålene:
(72)
(73)
(74)
(75)
der A er tangentlengden til første halvdel av vekselen.
7.2 Kurvesporsløyfer
En sporsløyfe mellom to konsenstriske sirkelkurver er i teorien en rett sporsløyfe mellom parallelle spor som er bøyd, slik at tangentlengdene og stigningen α° i sporvekslene er uendret. Det tidligere mellomliggende rettstykket m blir en mellomliggende kurve med radius Rz basert på middelet Rm av de to konsentriske kurvene. Figur 33 viser en såkalt likevendende kurvesløyfe mellom to konsentriske spor, der begge sporvekslene som inngår er innoverbøyd. For det ytre sporet må naturlig nok alltid dette gjelde, men for det indre sporet vil ofte utoverbøyde veksler benyttes, for ikke å få altfor lang byggelengde på sløyfen. Da kalles sløyfen for en motsatt vendende kurvesløyfe. Sporvekslene blir bøyd som beskrevet i avsnitt 4.3, og riktige radier mm. må derfor inngå i hovedmålene nedenfor.
(76)
(77)
(78)
(79)
Sporsløyfer i kurver på hovedspor må ha overhøyde ettersom de konsentriske kurvene har det. For prosjektering av kurvesløyfer er det spesielt viktig å huske at manglende overhøyde I aldri får overstige 100 mm. I den sammenheng er det formålstjenlig å fremstille et diagram som viser krumning, anvendt overhøyde og manglende overhøyde gjennom hele sløyfen. Som regel må en prøve seg frem med de rammene som er stilt utover den manglende overhøyden, som ev. eksisterende overhøyde, krav til byggelengde og sporavstand. Til slutt finnes en kombinasjon som gir valg av riktige veksler, ev. forlengelse av kurver og optimalt mellomstykke (kurvet forbindelsesspor) mht. både krumning og lengde.
Som prinsippskissen nedenfor viser, skal den ukompenserte sideakselerasjonen i mellomstykket være 0, det tillates ikke manglende overhøyde mellom kontrakurvene.


7.3 Sporforgreninger og doble sporsløyfer
Doble sporsløyfer kan beskrives som enkle sporsløyfer som blir speilet om midtpunktet på forbindelsessporet. Dette punktet må dermed utgjøres av et sporkryss. Om sporkrysset blir rett eller bøyd avhenger av hvilken type sløyfe det er snakk om. Figur .35 viser et eksempel på hovedmålene til en eksisterende dobbel, rett sporsløyfe mellom parallelle spor:

Sporforgreninger kan for såvidt deles inn like kategorisk som sporsløyfer, men i hovedsak sonderes det mellom forgreninger av én eller flere spor og mellom rette og bøyde spor. Det enkleste tilfellet er når et spor skilles med en enkel veksel, mens dersom flere spor avgrenes, vil de som regel krysse hverandre. Avhengig av om sporene er rette eller bøyde, vil vi da få henholdsvis rette og bøyde sporkryss mellom sporene. Beregning av forgreninger foregår i alminnelighet som for veksler og sløyfer ellers.
7.4 Sporplaner/sporavstand
Når sporforbindelser og -forgreninger skal konstrueres og formålstjenlige sporveksler skal velges, finnes alltid noen geometriske begrensninger. Regelverket setter krav til sporavstand utfra kurvatur og hastighet, og lengden på sporsløyfer er ofte begrenset av horisontalkurvaturen.
Middelpunktet er det nærmeste punkt på et forgrenet spor et tog kan komme uten å sperre for tog i det andre sporet. For beregning av sporets middel vises det til kapittel 5, avsnitt 5.10.
Den effektive sporlengden er den lengden av et spor det kan settes materiell på uten å sperre nabosporet. Denne lengden blir derfor lengden mellom middelpunktene.

Oppsummert inngår gjerne veksler og dermed sporforbindelser og -forgreninger i et nokså komplekst system i trafikkerte områder som for eksempel rundt en større stasjon. For å presentere sporforholdene grafisk benyttes som regel en geografisk sporplan. Dette er vanligvis en plantegning på et kart i målestokk 1:1000 eller 1:500, der alle spor er korrekt inntegnet med ulike geometriske mål påført. Men siden dette fort kan bli uoversiktlig ved mer komplekse sporforhold, benyttes ofte en såkalt skjematisk sporplan. Denne tar ikke hensyn til horisontalkurvatur, men fremstiller hovedsporene som rettlinjer og sporvekslene med enkle symbol som når hovedmål angis.
Utfra hvilke størrelser som er dimensjonerende i hvert enkelt tilfelle, kan det ofte være aktuelt å skulle finne minste (matematisk) tillatte sporavstand SP for sporsløyfer med andre gitte størrelser. I så fall må formlene i avsnittene 4.7.1 og 4.7.2 skrives om slik at sporavstanden blir frigjort som variabel.
8 Sporvekslers vertikalkurvatur
Ideelt sett bør veksler på hovedspor bare forekomme på rettlinjede partier, men i praksis legges veksler også inn i kurver. På hovedspor forekommer da også overhøyde, som igjen gjør at vekselen også må prosjekteres i profil. Det samme gjelder i sporsløyfer og -forgreninger der sporene har ulik høyde.
For veksler generelt gjelder at hoved- og avvikesporet er låst til hverandre helt ut til siste langsville. Geometrisk innebærer dette at sporene ligger i samme plan. Først etter siste langsville kan avvikesporets profil utformes fritt.
Figur 37 illustrerer sammenhengen mellom geometrien i plan og profil når sporvekselen ligger i kurve med overhøyde h. Størrelsene y og Z er henholdsvis sporavstand ved siste langsville, som oppgis blant andre hovedmål for veksler, og den høydeforskjellen som utgjøres av h og y.

Høydeforskjellen Z ved siste langsville er gitt som:
(80)
Utover beregninger rundt overhøyde, som normalt behandles under planberegningene, vil også tradisjonell vertikalkurvatur måtte behandles når bøyde veksler med overhøyde forekommer. Siden hovedsporet allerede ligger i helning, og avvikesporet skal utgå i dette helningsplanet, vil avvikseporet ende høyere eller lavere enn hovedsporet avhengig av om det bøyer utover eller innover. I tillegg vil stigning/fall endre seg i forhold til hovedsporet fordi avvikesporet krummes i det samme planet. Stigningsforskjellen Δp er gitt som:
(81)
- i ‰ for henholdsvis utover- og innoverbøyd veksel. Stigningsforskjellen gjelder mellom innerste skinne i hovedsporet og den skinnen i avvikesporet som tilsluttes denne.

Figur 38 viser et eksempel på hvordan en sporforgrening i en kurve utvikler seg til to parallelle kurver med samme overhøyde og samme absolutte høyde. Inntil siste langsville (sls) mister avvikesporet høyde (ikke overhøyde), siden begge spor befinner seg i samme hellende plan. Derfor legges det inn en vertikalkurve med en stor radius Rv, slik at avvikesporet på et visst punkt oppnår å komme på samme absolutte høyde som hovedsporet, men uten overhøyde. Deretter opparbeides en tilsvarende overhøyde i avvikesporet som tidligere ved å legge inn en overhøyderampe umiddelbart etter at de to sporene er blitt plangeometrisk parallelle.